betöltés...
hirdetés

Rekord: 405 kilométer/órás széllökést produkált a Melissa hurrikán

Cséki Gergő
Frissítve:

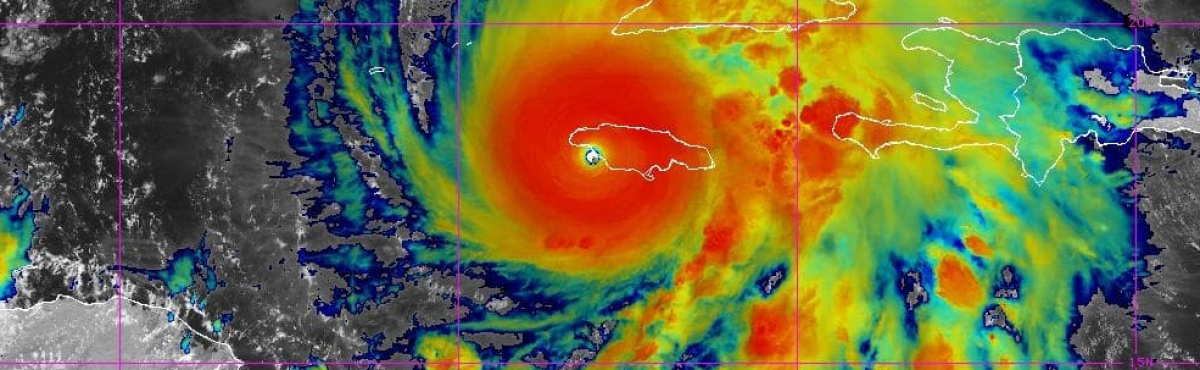
A feljegyzések kezdete óta soha ilyen erős széllökést nem regisztráltak hurrikán szemfalában. Jamaicát teljesen letarolta a vihar.

A Melissa hurrikán tegnap közel 300 kilométer/órás átlagos szélsebességgel ért partot Jamaica délnyugati részén, miközben középpontjában 892 hPa-ig csökkent a légnyomás. 

A valaha tapasztalt legerősebb hurrikán, amely partot ért

Melissa a a feljegyzett atlanti viharok sorában a harmadik legerősebbnek bizonyult a 2005-ös Wilmát és az 1988-as Gilbertet követően. Ugyanakkor a valaha tapasztalt legerősebb trópusi cikon, amely szárazföldi területet ért el. A hurrikán megdöntötte a földi széllökések rekordját, ugyanis délkeleti szemfalánál 252 mérföld/órás, azaz 405 km/órás széllökést regisztráltak.

A szél mellett a hirtelen lezúduló több száz milliméternyi csapadék jelentős villámárvizeket okozott a szigetországban.

Jamaicát követően Melissa északkelet felé haladt tovább, ma reggel közel 200 kilométer/órás széllökésekkel (a Saffir-Simpson skálán hármas erősségű hurrikánként) ért partot Kuba délkeleti részén.

Ezt követően a Bahamák, majd Bermuda felé folytatja útját, majd mérsékeltövi ciklonná alakulva várhatóan a jövő hét első felében érkezhet meg Európa nyugati, északnyugati része fölé.

Borítókép forrása: NOAA NWS National Hurricane Center

Ezek is érdekelhetnek
Időkép
Helyzet:
Időkép
Időkép