Az idei év legerősebb hurrikánja csapott le Jamaicára
Melissa 5-ös erősségű hurrikánként ért partot Jamaicában magyar idő szerint kedd délután.
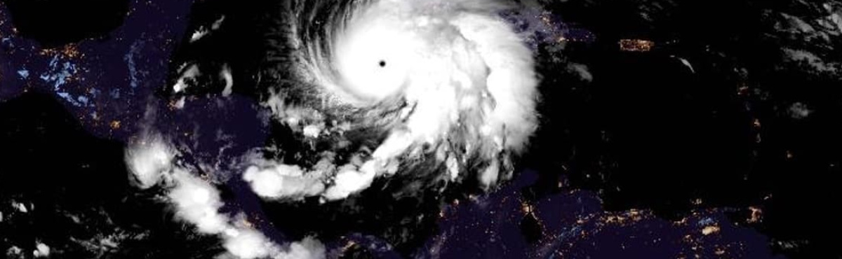
Rendkívül erős hurrikán örvénylik a Karib-tenger fölött, amely mostanra az év legerősebb trópusi vihara lett. Melissa szemében a légnyomás magyarországi idő szerint kedd délutánra 893 hPa-ig csökkent. Összehasonlításképpen az átlagos tengerszinti légnyomás 1013 hPa.
A hurrikán szeme körül a becsült átlagos szélsebesség 280 kilométer/óra. A szemfalban egyébként gyönyörűen kivehető az úgynevezett stadium effect (stadion effektus), ami azt jelenti, hogy a hurrikán szeme alul szűkebb, felfelé pedig kiszélesedik, éppen úgy, mint egy stadion lelátója.
Hétfőn egyébként a hivatalos hurrikánvadászok belerepültek a vihar szemébe, és ejtőszondákkal további méréseket végeztek. A nyers adatok szerint
216 méteres magasságban 388 km/h-s széllökés is előfordult,
ami az egyik legerősebb széllökés, amit valaha mértek hurrikán szemfalában.
X/Twitter betöltése
Melissa 5-ös erősségű hurrikánként karasztrófális esőzésekkel, óriási vihardagállyal és pusztító szélviharral ér partot Jamaicában magyart idő szerint kedd délután, az ország történetének legerősebb hurrikánjaként. Ezt követően szerdán Kuba délkeleti részét már kissé legyengülve éri el, majd a Bahamák érintését követően csütörtökön fut ki az Atlanti-óceánra.
Borítókép: A hurrikán a NOAA GOES-East műholdfelvételén helyi idő szerint kedd hajnalban
